Savannah Morning News-브라이언 카운티 커미셔너 위원회는 지난 7월 9일 화요일 저녁 회의에서 엘라벨 지역 ‘The Lakes at Black Creek’의 2단계 주택단지 조성안을 승인했다.
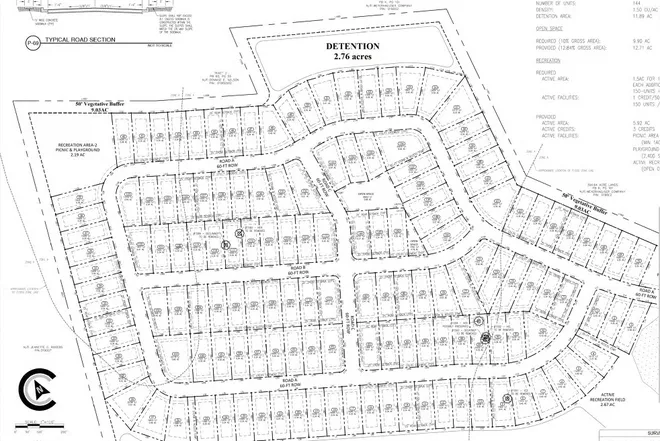
이번 승인으로 총 144세대 규모의 단독주택이 추가 조성되며, 해당 사업은 Tract 3 Developers LLC가 추진하고, Coleman Company가 설계를 맡는다.
주택은 기존 119세대가 들어선 1단계 부지 인근 98에이커의 면적에 조성되며, 단지 내에는 2개의 놀이터, 피크닉 공간, 운동장 등 약 6에이커의 커뮤니티 시설이 함께 들어설 예정이다. 신규 도로 3개가 개설되며, 기존 Abigail Circle과 Page Road를 연결하고, Joel P. Dameron Road는 비상 차량 진입로로 활용된다.
하지만 지역 주민들은 과도한 개발로 인한 침수 위험, 교통 혼잡, 농업활동과의 충돌을 우려하며 반발하고 있다.
“빗물 고이면 화장실도 못 써”…기초 인프라 문제 지적
브라이언 카운티 커뮤니티개발국에 따르면, 해당 개발 예정지는 연 1% 침수 가능성이 있는 Zone A 지역으로 분류된다. 기존 단지 일부도 Zone X 지역(연 0.2% 침수 확률)에 해당하며, 이미 정화조 고장, 마당 침수, 생활 불편 등의 문제가 보고된 바 있다.
주민 홀리 에리스먼(Holly Erisman)은 “비만 오면 화장실도 못 쓰고, 세탁기도 돌릴 수 없다”며, “정화조를 수차례 비워야 했고, 침수된 마당은 며칠씩 쓸 수 없다”고 호소했다.
교통량 급증·농지 인접 갈등도 현실화
조지아 교통국(GDOT)은 인근 US 280번 도로의 일일 교통량이 2025년 34,000대에서 2045년에는 55,000대를 넘을 것으로 예측하고 있다. 여기에 이번 주택단지 개발로 하루 1,465대의 차량이 추가 유입될 것으로 나타났다.
농업지역과의 마찰도 우려된다. 해당 부지는 가축·비료 냄새, 농약 분사 등 농업활동이 활발한 지역과 맞닿아 있다. 농부 숀 페이지(Shawn Page)는 “내 땅에서 나오는 닭 분뇨 냄새나 농약 분사로 이사 온 사람들이 불평할 게 뻔하다”고 말했다.
“무계획 개발 지양해야”… vs “일자리 증가엔 주택이 필요”
지역 원주민인 캐서린 콥(Catherine Cobb)은 “농촌의 녹지와 풍경을 고려하지 않은 무분별한 개발이 계속되고 있다”며, 지역의 전통성과 경관을 지키는 개발 방식이 필요하다고 주장했다.
반면, 일부 주민은 현대차 전기차 공장 등 산업 성장에 따른 주택 수요 증가를 수용해야 한다는 입장이다. 캐서린 로신(Kathryn Roseen)은 “Hyundai 공장이 가져온 고용 확대 덕에 지역 경제가 살아나고 있다”며, “성장은 필연이고, 주택은 반드시 따라와야 한다”고 말했다.
브라이언 카운티는 향후 본격적인 토지 정비 및 건축 인허가 단계를 진행할 예정이며, 지역사회의 수용 능력과 균형 있는 성장 방향에 대한 논의가 더욱 중요해지고 있다.
![[주거개발] 엘라벨 144세대 주택단지 2단계 승인](https://savannahkoreatimes.com/wp-content/uploads/2025/07/vZVxcvc-660x375.webp)



![[지역 갈등] 브라이언 카운티 주민들, 묘지 인근 파커스 주유소 건립안 강력 반발](https://savannahkoreatimes.com/wp-content/uploads/2025/07/스크린샷-2025-07-10-171242.png)
![[주택 위기] 불록 카운티, 집값 폭등에 주민들 “현실과 괴리 커져”](https://savannahkoreatimes.com/wp-content/uploads/2025/07/606cd73b203ec.image-75x75.jpg)
![[골프&건강] 한여름 라운드 생존법… “갈증 나기 전부터 수분 섭취해야”](https://savannahkoreatimes.com/wp-content/uploads/2025/07/hydratation-golfing-in-hot-weather-75x75.jpg)